Wauregan Road Plainfield, CT 06374

Other MLS #: 24143170 Courtesy Of RE/MAX BELL PARK REALTY

Property InformationDescription

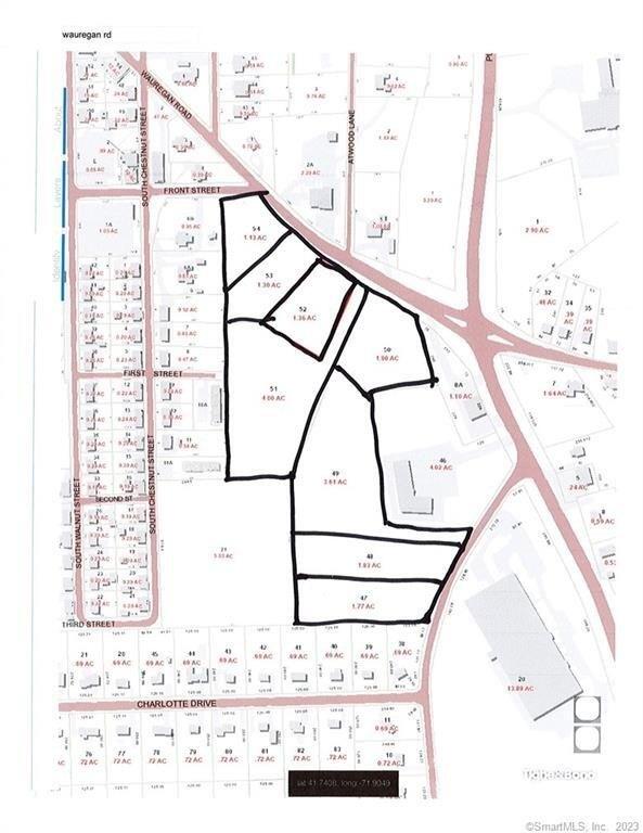
Commercial land located at the Wauregan four corners. Prime spot for development. The 16.9 acres is a combination of 8 lots. Some lots may be able to sell individually. Dollar General is located across the way. Located near the old C & M Corporation and in the area of other Commercial Industrial Buildings.

Features

  • MLSID: 24143170

MAP & DIRECTIONS

Get Directions
Wauregan Road, Plainfield, CT 06374
View Directions
Copyright © 2026 SmartMLS, Inc. All rights reserved. All information provided by the listing agent/broker is deemed reliable but is not guaranteed and should be independently verified. Information being provided is for consumers' personal, non-commercial use and may not be used for any purpose other than to identify prospective properties consumers may be interested in purchasing.